Uitgifte pachtperceel aan de Monnikenweg te Burgum
Gemeente Tytsjerksteradiel is voornemens om percelen weiland 1 op 1 in geliberaliseerde pacht uit te geven. De gemeente is van oordeel dat er op grond van objectieve, redelijke en toetsbare criteria 1 serieuze gegadigde in aanmerking komt voor de geliberaliseerde pacht van deze percelen, omdat de betreffende pachter in het verleden bij een grondruil heeft bedongen dat de pachter deze gronden mag blijven pachten tot de gemeente deze percelen ontwikkeld.
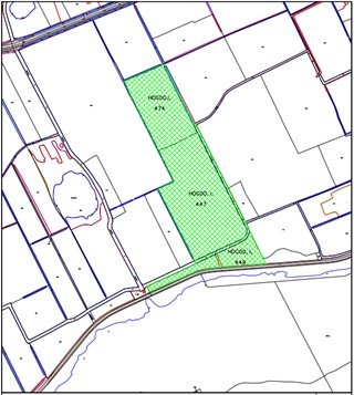
Ligging perceel
Het gaat om percelen weiland gelegen aan de Monnikenweg te Burgum, kadastraal bekend gemeente Hardegarijp, sectie I, nummer 474, groot 27.300 m2, kadastraal bekend gemeente Hardegarijp, sectie I, nummer 447, groot 50.555 m2, kadastraal bekend gemeente Hardegarijp, sectie I, nummer 449 deels, groot ca. 12.275 m2.

Pachtovereenkomst en pachtprijs
De pachtovereenkomst wordt gesloten voor een periode van 1 jaar. De pachtovereenkomst gaat in op 1 januari 2026 en eindigt op 31 december 2026.
De pachtprijs is gebaseerd op de maximaal toegestane pachtprijs Noordelijk weidegebied en wordt jaarlijks vastgesteld door de Rijksdienst voor Ondernemend Nederland. In 2026 bedraagt de pachtprijs € 735,- per hectare/per jaar. De pachtprijs voor het jaar 2026 bedraagt € 6.624,55.
Bent u het niet eens met deze uitgifte van geliberaliseerde pacht?
Heeft u bedenkingen tegen de voorgenomen 1 op 1 uitgifte van deze geliberaliseerd pachtovereenkomst, dan dient u binnen 20 kalenderdagen na de datum van deze publicatie (8 oktober 2025) een kort geding aanhangig te maken bij de voorzieningenrechter van de rechtbank Noord-Nederland, locatie Leeuwarden. De termijn van 20 kalenderdagen is een vervaltermijn.
Indien u een kort geding aanspant, verzoeken wij u ons dit binnen voornoemde termijn van 20 kalenderdagen schriftelijk te laten weten, bij voorkeur door het per e-mail opsturen van de conceptdagvaarding aan de afdeling grondzaken van de gemeente Tytsjerksteradiel, via e-mailadres: grondzaken@t-diel.nl. Indien niet uiterlijk 28 oktober 2025 een kort geding aanhangig is gemaakt kunnen er geen aanspraken jegens de gemeente ter zake de voorgenomen uitgifte geliberaliseerde pacht worden gemaakt.
Met deze publicatie geeft de gemeente uitvoering van het arrest van de Hoge Raad 26 november 2021 (ECLI:NL:HR:2021:1778).
Publicatiedatum: 8 oktober 2025.